TERVEYS
SELKÄONGELMAT

Selkärangan välilevytyrä ja välilevyrappeuma
Kondrodystrofisilla koiraroduilla on mutaation aiheuttama raajojen pitkien luiden kasvuhäiriö, minkä johdosta näillä koirilla on tyypillinen pitkänomainen ulkomuoto ja lyhyet ja käyrät raajat. Kondrodystrofisia koirarotuja ovat esimerkiksi mäyräkoirat, kiinanpalatsikoira, welsh corgi ja skyenterrieri. Mutaatioon liittyy taipumus selkänikamien välilevyjen varhaiseen rappeutumiseen (intervertebral disc disease, IDD), joka alkaa jo ensimmäisen elinvuoden aikana.
Rappeutuneet välilevyt ovat alttiita vaurioille ja seurauksena on mäyräkoirahalvauksena tunnettu välilevytyrä. Sen oireet voivat vaihdella muutaman päivän kestävistä selkäkivuista täydelliseen takajalkojen halvaantumiseen. Jos välilevytyrä on kaularangan alueella, oireina ovat voimakas kaulan alueen kipu ja joskus etu- ja takajalkojen halvausoireet.
Tyypillisin sairastumisikä on 4–5 vuotta. Osalla koirista on oireita vain kerran, mutta toisilla ne uusiutuvat. Usein selkäkivut (esimerkiksi liikkumis- tai hyppäämishaluttomuus) edeltävät halvausoireita ja siksi omistajan on syytä suhtautua myös lieviin oireisiin vakavasti. Selkäkivut sekoitetaan usein myös mahakipuihin. Lieviä oireita hoidetaan levolla ja tarvittaessa lepoon yhdistetään kipulääkkeet.
Toistuvien tai jatkuvien kipujen ja halvausoireiden suositeltu hoito on leikkaus, jossa selkäydintä painava tyräytynyt välilevymateriaali poistetaan. Mäyräkoirahalvauksen ennuste on useimmiten hyvä, mutta toipuminen vakavasta halvauksesta voi kestää pitkään.
Kondrodystrofisilla roduilla pitkälle rappeutuneet välilevyt voivat kalkkeutua. Kalkkeutumistaipumuksella on perinnöllinen tausta ja kalkkeutuneiden välilevyjen määrällä on yhteys sairastumisriskiin.
Koirista, joilla ei ole yhtään kalkkeutunutta välilevyä, vain harvat sairastuvat. Kalkkeutuneet välilevyt näkyvät röntgenkuvissa, mikä mahdollistaa sairauden vastustamisen röntgenseulonnan avulla. Tutkimuksissa on todettu, että välilevyt kalkkeutuvat kahteen ikävuoteen mennessä. Osa kalkkeutumista voi myöhemmin kadota ja siksi röntgenkuvauksen suositeltu ikä on 24–42 kuukautta.
Sairauden vähentämiseksi tulisi jalostuksessa suosia koiria, joilla on mahdollisimman vähän kalkkeutuneita välilevyjä. IDD:stä voi saada lausunnon 24 kuukautta täyttänyt koira. Arvostelussa käytetty asteikko: IDD0, puhdas, Ei muutoksia IDD1, lievä 1–2 osittain tai kokonaan kalkkeutunutta välilevyä IDD2, keskivaikea 3–4 osittain tai kokonaan kalkkeutunutta välilevyä IDD3, vaikea 5 tai enemmän osittain tai kokonaan kalkkeutunutta välilevyä
(Lähde: ELT Anu Lappalainen, www.kennelliitto.fi)
Välilevytyrä on kondrodystrofisille koiraroduille (mm. mäyräkoirat, corgit) yleinen sairaus. Sitä kutsutaan usein myös nimellä mäyräkoirahalvaus. Välilevytyrän syntytapa ja sijainti määrittävät oireiden kuvan. Oireilu voi alkaa äkillisesti ja voimakkaasti, jos välilevy tyräytyy äkillisesti ja kovalla voimalla.
Kroonistuneissa tapauksissa oireet voivat olla lievempiä ja oireilu satunnaisempaa. Oireiden voimakkuus riippuu siitä, kuinka paljon tyrä painaa selkäydintä. Lievissä tapauksissa kipua tunteva koira voi vetäytyä omiin oloihinsa ja/tai olla haluton hyppäämään, kiipeämään portaissa, liikkumaan ja lenkkeilemään. Toisinaan välilevytyrä aiheuttaa voimakasta kipua, jolloin koira voi valittaa ääneen esimerkiksi nostettaessa, seistä selkä köyryssä tai välttää pään liikuttelua.
Kipureaktion puuttuminen ei kuitenkaan tarkoita, etteikö koiralla voisi olla välilevytyrä. Koiralla voi olla neurologisia puutoksia, jotka vaihtelevat lievästä horjumisesta aina täydelliseen halvaantumiseen saakka.
Ensimmäisiä merkkejä neurologisista ongelmista ovat yleensä asentotuntoreaktion hidastuminen tai pois jääminen. Tämä tarkoittaa sitä, että koira ei käännä heti tassuaan oikein päin, kun tassu käännetään varpaan yläosat alustaa vasten. Välilevytyrää voidaan epäillä tyypillisten oireiden perusteella.
Joskus tavallisissa röntgenkuvissa voidaan välilevytyräkohdassa havaita kalkkeutunutta välilevymateriaalia selkäydinkanavassa tai selvästi kaventunut nikamaväli. Usein tyrää ei kuitenkaan voi erottaa röntgenkuvista, vaan se kannattaa varmistaa magneettikuvauksella, CT-kuvauksella tai varjoainekuvauksella.
Välilevytyrää hoidetaan joko konservatiivisella hoidolla tai leikkaushoidolla. Konservatiivinen hoito pitää sisällään häkkilepoa, tulehduskipulääkkeitä, fysioterapiaa ja esimerkiksi akupunktiota. Lievemmissä tapauksissa konservatiivisella hoidolla on yleensä hyvä hoitovaste.
Leikkaushoitoon turvaudutaan vakavammissa tapauksissa tai toistuvissa kiputiloissa. Mikäli syväkiputunto puuttuu, on leikkaushoidolla jo kiire, jotta pysyviä vaurioita ei syntyisi. Leikkaushoidossa tyräytynyt välilevymassa imetään pois painamasta selkäydinkanavaa ja kipuoireet paranevat yleensä melkein välittömästi.
Neurologisten puutosten paraneminen yleensä kestää kauemmin ja vaatii pidempiaikaista kuntoutusta ja fysioterapiaa. Suurin osa koirista paranee täysin, mutta hermostollisten puutoksien jääminen osalle on mahdollista. Sairaus voi myös uusia.
Taipumus välilevytyrään on osoitettu useissa tutkimuksissa perinnölliseksi (Stigen ym. 1993, Jensen 2000, Lappalainen 2015). Sen periytymismekanismi ei ole tiedossa, mutta on hyvin todennäköistä, että siihen vaikuttaa useita geenejä ympäristön vaikutuksen lisäksi. Kondrodystrofisuus aiheuttaa välilevyjen poikkeuksellisen varhaisen rappeutumisen ja altistaa välilevyjen tyräytymiselle.
Röntgenkuvista on mahdollista havaita kalkkeutuneet välilevyt. Kalkkeutuneiden välilevyjen esiintyminen on mäyräkoirilla tehtyjen tutkimusten mukaan myös perinnöllistä, mutta arviot niiden periytymisasteista vaihtelevat.
Eräiden tutkimusten mukaan periytymisasteet ovat 0,15- 0,87 välillä (Stigen 1993, Jensen ym. 2000), mutta tuoreimmassa kotimaisessa n. 1550 mäyräkoiraa käsittävässä tutkimuksessa (Lappalainen 2015) periytyvyysasteeksi on saatu 0,53. Periytyvyysastetta pidetään korkeana, kun se on 0,4-0,5 ja alhaisena kun se on alle 0,2.
Suuri periytyvyysaste tarkoittaa, että ilmiasuun (fenotyyppiin) eli tässä tapauksessa kalkkeumien määrään perustuvalla jalostamisella voi olla mahdollista saada aikaan etenemistä nopeasti ja saada aikaan mahdollisimman vähän kalkkeumia omaavia koiria ja näin pienentää välilevytyrän riskiä.
Mäyräkoirilla tehtyjen tutkimuksien mukaan voidaan varovaisesti päätellä, että vakavia leikkausta vaativia välilevytyriä esiintyy enemmän koirilla, joilla on enemmän kalkkeutumia, vaikka tyräytynyt välilevy ei aina olekaan kalkkeutunut. Suomalaisen tutkimuksen (Lappalainen ym. 2014) mukaan on myös todettu, että koirat, joilla on vähemmän kalkkeumia, oireilevat iäkkäämpinä kuin koirat, joilla kalkkeutumia on enemmän. Myös leikkausta vaativien potilaiden kohdalla tämä näyttäisi siis pitävän paikkansa. Osittain tulosta voi selittää myös se, että kalkkeutumia saattaa kadota iän myötä esimerkiksi oireettoman tyräytymisen seurauksena.
(Lähde: SWCS ry:n sivuilta, //www.corgiseura.net/terveys/rodussa-esiintyvat-sairaudet-ja-viat/selkaongelmat/)
Välimuotoinen lanne-ristinikama
Välimuotoinen lanne-ristinikama (lumbosacral transitional vertebra, LTV) on yleinen synnynnäinen ja perinnöllinen nikamaepämuodostuma, jonka periytymismekanismia ei tunneta. LTV:llä tarkoitetaan nikamaa, jossa on sekä lanne- että ristinikaman piirteitä.
LTV altistaa lanne-ristiluuliitosalueen varhaiselle rappeutumiselle, minkä seurauksia voivat olla takaselän kivut ja pahimmassa tapauksessa takajalkojen halvausoireet.
Hoitona käytetään lepoa ja kipulääkkeitä ja vakavimmissa tapauksissa leikkaushoitoa.
Kotikoirina sairastuneet koirat pärjäävät usein melko hyvin, mutta ennuste paluusta harrastus- tai työkoiraksi on epävarma. LTV:stä voi saada lausunnon 12 kuukautta täyttänyt koira. Arvostelun perusteet ja kuvaesimerkit eri asteista löydät: https://www.kennelliitto.fi/files/valimuotoinen-lanneristinikama-arvosteluperusteet-ja-luokittelu-0
Arvostelussa käytetty asteikko:
LTV0 Ei muutoksia,
LTV1 Jakautunut ristiluun keskiharjanne (S1–S2),
LTV2 Symmetrinen välimuotoinen lanne-ristinikama
LTV3 Epäsymmetrinen lanne-ristinikama
LTV4 6 tai 8 lannenikamaa LTV-muutosten yleisyydestä eri roduissa ei juurikaan ole vielä tietoa.
Kennelliiton jalostustieteellinen toimikunta suosittelee jättämään LTV4-tuloksen saaneet koirat pois jalostuksesta. Myös oireilevat koirat on syytä jättää pois jalostuksesta. Tuloksen LTV1, LTV2 tai LTV3 saanut, oireeton koira suositellaan yhdistettävän vain normaalin (LTV0) koiran kanssa. (Lähde: ELT Anu Lappalainen).
(Lähde: SWCS ry:n sivuilta, //www.corgiseura.net/terveys/rodussa-esiintyvat-sairaudet-ja-viat/selkaongelmat/ )
Degeneratiivinen myelopatia (DM)
Tämän etenevän selkäytimen rappeutuman aiheuttaja on tuntematon. Oireet alkavat yleensä takaraajojen etenevinä liikehäiriöinä viidennen ikävuoden jälkeen. Taudin edetessä oireet siirtyvät myös eturaajoihin ja se johtaa lopulta pahenevaan halvaantumiseen. Parannuskeinoa ei ole, mutta oireita voidaan lievittää taudin alkuvaiheessa.
Degeneratiiviseen myelopatiaan ei liity kipuoireita. Degeneratiiviselle myelopatialle on olemassa DNA-testi, jolla seulotaan perimältään vapaat, kantajat ja sairastumisriskin omaavat yksilöt. Testitulokset ovat kuitenkin vielä kiistanalaisia, sillä periytymismekanismi on osittain epäselvä ja sairauden ilmeneminen DNA-testituloksesta riippumatta sattumanvaraista.
(Lähde: SWCS ry:n sivuilta, //www.corgiseura.net/terveys/rodussa-esiintyvat-sairaudet-ja-viat/selkaongelmat/ )
Spondyloosi
Spondyloosi on selkärangan rappeumasairaus, jossa selkänikamien rajoille muodostuu luupiikkejä ja/tai -siltoja. Spondyloosia kehittyy usein normaalistikin ikääntymisen myötä, mutta rappeumaa todetaan myös nuorilla koirilla.
Selkärankaan muodostuneet luupiikit ja silloittumat voivat aiheuttaa koiralle vaihtelevan asteisia oireita kuten jäykkyyttä, ontumista, epämääräisiä selkäkipuja ja hyppäämishaluttomuutta. Kehittymässä olevat luupiikit voivat murtua tai hangata toisiaan aiheuttaen tulehduskipua alueella – toisinaan paikalliset oireet helpottavat kun luutuminen etenee täydeksi sillaksi.
Spondyloosilausunnon voi saada 24 kk täyttänyt koira. Arvostelussa käytetään asteikkoa SP0-SP4.
(Lähde: SWCS ry:n sivuilta, //www.corgiseura.net/terveys/rodussa-esiintyvat-sairaudet-ja-viat/selkaongelmat/)
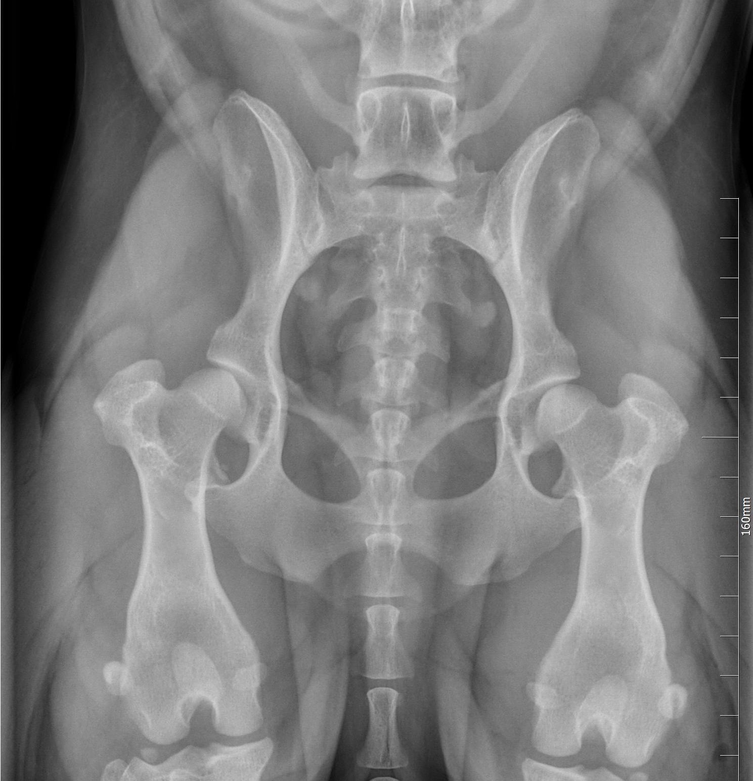
LONKKANIVELEN KASVUHÄIRIÖ

Lonkkanivelen kasvuhäiriö eli "lonkkavika", (engl. hip dysplasia, HD) on koirien yleisin luuston ja nivelten kasvuhäiriö. Se voidaan määritellä perinnölliseksi lonkkanivelen löysyydeksi. Lonkat ovat syntymähetkellä silmämääräisesti normaalit, mutta muutokset alkavat jo pennun ensimmäisten elinviikkojen aikana.
Löysyys lonkkanivelessä johtaa reisiluun pään ja lonkkamaljan riittämättömään kontaktiin. Alueelle kohdistuu epänormaalin suuri paine, joka on sitä suurempi mitä pienempi kontaktialue on. Tämä voi johtaa mikromurtumiin ja lonkkamaljan mataloitumiseen. Noin vuoden iässä lantion luutuminen on täydellistä ja yleensä kipukin helpottaa tässä iässä.
Lonkkanivelen kasvuhäiriö johtaa usein nivelrikkoon. Nivelrikon kehittymisen aikatauluun ja tyyppiin vaikuttavat rotukohtaiset ja yksilölliset erot. Lonkkanivelen kasvuhäiriön perimmäistä syytä ei tiedetä, mutta se periytyy tämänhetkisen tutkimustiedon perusteella kvantitatiivisesti eli siihen vaikuttaa useita eri geenejä. Myös ympäristöllä on vaikutusta lonkkavian ilmenemiseen ja vaikeusasteeseen.
Corgeilla on lonkkanivelen kasvuhäiriöitä lievästä - vaikea asteiseen. Ylipaino vain pahentaa oireita ja tämä on yksi niistä syistä, miksi cardigania ei tule päästää liian lihavaan kuntoon!
(Lähde: SWCS ry:n sivuilta, /www.corgiseura.net/terveys/rodussa-esiintyvat-sairaudet-ja-viat/lonkkaniveldysplasia/)
Kyynärnivelen inkongruenssi

Kondrodystrofisilla koiraroduilla on perinnöllinen luiden kasvuhäiriö, joka aiheuttaa jalkojen luiden pituuskasvun häiriintymisen jo sikiöaikana.
Kaikissa kyynärnivelen kasvuhäiriöissä oireet alkavat keskimäärin 4-7 kuukauden iässä. Tyypillinen oire on ontuminen, joka voi pahentua rasituksessa tai olla voimakkainta levon jälkeen. Ontuminen voi olla jatkuvaa tai ajoittaista. Omistajan voi olla vaikea havaita koiran ontumista, jos kasvuhäiriö on molemminpuolinen. Toisinaan kasvuhäiriö on molemmissa kyynärnivelissä, vaikka koira ontuu vain toista jalkaa. Usein oireet huomataan vasta aikuisiällä ja silloin oireet johtuvat kasvuhäiriön seurauksena kehittyneestä nivelrikosta.
Luiden pituuskasvu tapahtuu rustoisten kasvulevyjen kohdalla. Pituuskasvu loppuu, kun kasvulevyt ovat luutuneet kiinni. Kaikilla kondrodystrofisten rotujen koirilla raajojen luut ovat lyhyemmät ja paksummat ja myös normaalia käyremmät, mutta toisinaan kyynärluun kasvulinja sulkeutuu liian aikaisin ja värttinäluun jatkaessa kasvuaan luiden mittasuhteet muuttuvat epänormaaleiksi. Seurauksena voi olla kyynärluun epäyhdenmukaisuus (inkongruenssi), kun "liian pitkä" värttinäluu muodostaa portaan nivelpintaan tai värttinäluusta tulee liioitellun käyrä. Joskus värttinäluun yläpää menee osittain sijoiltaan. Joillain koirilla häiriö näkyy tassujen kiertymisenä ulospäin ja ranteiden taipumisena sisäänpäin. Kondrodystrofisilla roduilla taipumus kasvulinjan liian aikaiseen sulkeutumiseen on perinnöllinen ja siksi sitä voidaan vastustaa jalostusvalinnoilla.
Kyynärnivelen epäyhdenmukaisuus näkyy parhaiten röntgenkuvassa, jossa niveltä ei ole taivutettu (avautumiskulma 90 astetta tai enemmän). Röntgenkuvassa täytyy näkyä kyynärnivelen lisäksi koko kyynärvarsi. Epäyhdenmukaisuus (inkongruenssi) arvioidaan asteikolla INC0 – INC3, jossa INC 0 on yhdenmukainen ja INC3 on voimakkaasti epäyhdenmukainen nivel. Kondrodystrofisilla roduilla INC1 on vielä "normaali", mutta INC2- ja INC3-kyynärnivelet ovat selvästi epänormaaleja.
Arvosteluasteikko:
Kuvattaessa koiran on oltava iältään vähintään 12 kk
INC0 (normaali): Nivelrako on kapea ja tasainen, kyynär- ja värttinäluun välillä ei ole porrasta. Ei nivelrikkoon viittaavia muutoksia.
INC1 (lievä): Nivelrako ei ole täysin kapea ja tasainen: kyynär- ja värttinäluun välillä on pieni porras tai nivelraossa olka- ja kyynärluun välillä on korkeintaan 2 mm leveä rako. Ei nivelrikkoon viittaavia muutoksia.
INC2 (kohtalainen): Nivelrako ei ole kapea ja tasainen: kyynär- ja värttinäluun välillä on porras tai nivelraossa (incisura trochlearis) olka- ja kyynärluun välillä on 2–3 mm leveä rako.
INC3 (vaikea): Nivelraossa olka- ja kyynärluun välillä 3 mm tai sitä leveämpi rako tai kyynär- ja värttinäluun välillä on porras, tai nivel on muuten selvästi epämuotoinen.
(Lähde: SWCS ry:n sivut, /www.corgiseura.net/terveys/rodussa-esiintyvat-sairaudet-ja-viat/kyynarnivelen-inkongruenssi/ )
